
Details
For More Information Please Call Dudley Resources @ (804) 709-1954
Online Auction Only - Opening Bid Only $40,000!
Highlights:
- 2514 Libbie Ave., Richmond, VA 23230
- Total Parcel Size: 0.655 ± AC
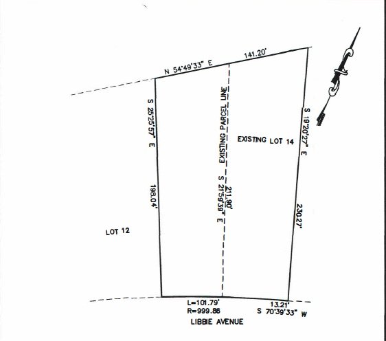
- Lot 14 Size: 0.34 ± AC - 14,712 ± SF
- Lot 13 Size: 0.315 ± AC - 13,730 ± SF
- Total Parcel Size: 0.655 ± AC
- 2514 Libbie Ave., Richmond, VA 23230
- Total Parcel Size: 1.174 ± AC
- Lot 15 Size: 0.336 ± AC - 14,628 ± SF
- Lot 16 Size: 0.37 ± AC - 15,915 ± SF
- Lot 17 Size: 0.468 ± AC - 20,383 ± SF
- Total Parcel Size: 1.174 ± AC
- Average Sale Price for Single Family Homes in Surrounding Area: $242,475
- (0.5 ± Mile Radius, Previous 180 Days)
- Average Price/Square Foot for Single Family Homes in Surrounding Area: $142.60/SF
- (0.5 ± Mile Radius, Previous 180 Days)
- Combined Size: 1.829 ± AC - Up To Five (5) Residental Building Lots - Two (2) Tax Parcels
- CVR MLS Area 22 - Zoned R-3 - Henrico County - Kildare Annex Subdivision
- Public Water, Sewer & Electric @ Street - Assessed @ $88,000 – Annual Taxes: ± $766
- Significant Ongoing Residential & Commercial Development in Surrounding Area
- New 2,490 ± SF Starbucks with Drive-Thru @ Libbie Mill
- Currently Under Construction (New Starbucks @ Libbie Mill)
- Located Less Than 0.5 ± Miles From Subject Development Site!
- Easy Access to Thousands of Restaurants, Bars, Retailers & Shopping @ Libbie Mill, Willow Lawn, The West End, Tuckahoe, Scott's Addition, Downtown Richmond & More!
- Elementary School: Johnson
- Middle School: Tuckahoe
- High School: Tucker
Location
Terms
TERMS AND CONDITIONS FOR THIS AUCTION EVENT
Summary of Terms and Conditions:
- Buyer’s Premium: 10% Buyers Premium added to the highest bid.
- Deposit Amount: At the Fall of the Hammer, the credit card used to register your account will be charged the initial deposit or escrow amount of $2500 or 10% of the high bid, if less than $2500. The remaining balance of the 10% buyer's premium is due within 3 days from the close of the auction; payable by cashier's check or bank wire
- Broker Co-op: Up to 2% of the high bid may be paid to a properly registered broker/agent at settlement.
- Closing: 30-day closing, As-Is, no contingencies.
- Agency Disclosure: Dudley Auctions is acting as auctioneer/agent and is agent for the seller only.
- Disclaimer: Information contained herein is believed to be correct to the best of Dudley Auctions’ knowledge, but it is the sole responsibility of each Bidder to inspect and verify all information pertaining to the property. This property is subject to sale prior to the auction event and may be withdrawn, modified, or cancelled at any time without notice.
Full Terms and Conditions:
Bidder Approval: A $0.00 deposit or in an amount displayed on the Dudley Auctions website or as communicated by Dudley Auctions is required in order to become an approved Bidder and be able to place a bid during the auction event. Any such deposit will be required in the form of cash, certified funds, or credit card. Dudley Auctions reserves the right to hold the deposit until the completion of the auction event and for a reasonable period of time to allow for the release of any such deposit and/or the return of any such funds after the conclusion of the auction. The online bidding platform shall place a minimal credit card hold at the time of online registration to confirm the validity of the credit card being used.
Bid Increments: Dudley Auctions shall solely determine the bid increments for this auction event. Bid increments may be changed or modified from time to time during the auction event.
Bid Responsibility: Bidders are responsible for entering their bids and each Bidder shall be responsible for any and all bids placed under that approved Bidder’s number during the auction event. Bids placed by approved Bidders shall be considered final and will be recorded. Recorded bids may not be modified, retracted or rescinded.
Bidding Time: This auction is a timed auction event, which means that bidding is scheduled to begin and close at the times posted on the website for Dudley Auctions. All time references on the bidding site for Dudley Auctions are expressed in Eastern Time. It the responsibility of the bidder to check the Dudley Auctions website regarding the scheduled opening and closing times for each timed auction event.
Buyer’s Premium: A Buyer’s Premium of ten percent (10%) will be added to the highest bid for the real property and included in the total selling price paid by the buyer.
Buyer’s Premium Example:
Highest Bid | $50,000 |
10% Buyer’s Premium | + $5,000 |
Total Purchase Price | = $55,000 |
Closing: The highest bidder must sign all documents and contracts within one (1) hour after the end of the auction event. All closings must occur within 30 days, unless otherwise specified in the Purchase Agreement. TIME IS OF THE ESSENCE WITH REGARD TO ALL CLOSINGS! The subject Property is to be conveyed by Marketable Deed from all owners of record and free and clear of all liens. The terms of the purchase agreement are non-negotiable, and the highest bidder must sign the purchase agreement in the name of the highest bidder or the highest bidder’s associated business entity. The purchase agreement and such other documents will set forth the specific terms and conditions of the sale, including the time by which the successful participant’s purchase of the property must be completed. It is the sole responsibility of each registered bidder to review all documents provided by Dudley Auctions before making any bids at the auction event.
Closing Costs: The deed shall be prepared and acknowledged by Seller at Seller’s expense and recorded at the expense of Buyer. The buyer shall pay all title searches, title insurance charges, survey expenses, usual conveyance expenses, and recordation taxes, including the Grantor’s and Grantee’s Tax. Real estate taxes, rents, water and sewer charges, if any, will be prorated as of the date of closing. Successful purchasers must pay all wire transfer fees. Sale of the property is not contingent upon the buyer obtaining financing.
Controlling Law: The rights and obligations of all parties regarding this auction event shall be governed and interpreted by the laws of the Commonwealth of Virginia. All registered Bidders shall be deemed to have consented to the jurisdiction of the state and federal courts of the Commonwealth of Virginia when making an offer at the auction event, whether present in-person or by agent, written offer, telephone, online, or any other means.
Cooperating Broker/Agent Fee: Dudley Auctions offers up to a three percent (3%) cooperating broker/agent fee to be paid to the broker/agent representing the highest bidder for the real property (cooperating broker/agent fee based on the highest offer and not including applicable buyer’s premium. Please contact Dudley Auctions for full terms.
Default : If highest bidder defaults in making settlement, the deposit paid by that defaulting highest bidder shall be forfeited, and the property purchased by such defaulting highest bidder may either be resold at the risk and expense of such party or Seller may accept the next highest available offer at the sale. Such defaulting highest bidder shall be liable personally for any deficiency resulting from the resale of the property it purchased at a lower price as well as for all costs, expenses, and attorneys’ fees in connection with such resale. The forfeiture of such deposit shall not limit any rights or remedies of Seller with respect to any such default. Any successful Bidder who fails to submit an executed Purchase Contract, fails to make any required earnest money deposit, or fails to close in a timely manner may also be prohibited from bidding on future auctions conducted by Dudley Auctions.
Deposit: At the Fall of the Hammer, the credit card used to register your account will be charged the initial deposit or escrow amount of $2500 or 10% of the high bid, if less than $2500. The remaining balance of the 10% buyer's premium is due within 3 days from the close of the auction.
Due Diligence: It is the sole responsibility the each Bidder to inspect the property; review the information documents relating to the property; assess the accuracy and completeness of the information contained in the Sale Brochure and any such other documents; and independently verify and confirm any estimates, projections, or assumptions relating thereto, none of which may be considered to be guaranties. Bidders are independently responsible for completing Due Diligence to their own satisfaction. By agreeing to these terms and conditions, the bidder represents that they have done so. Registered Bidders are aware of and agree to that the sale pursuant to this auction event is being made on an “as-is, where-is” basis, with no representations or warranties of any kind, expressed or implied, by the Seller and/or Dudley Auctions.
Dudley Auctions is not the owner of these assets, instead is contractually engaged for the sale of these assets on behalf of the owner (s). These assets are not advertised or being sold Absolute. Dudley Auctions reserves the right to bid on behalf of the owner (s), up to the amount of the reserve.
All Bidders have the sole and exclusive responsibility to select and consult with any and all professional advisors in determining whether to place a bid at this auction event. All Bidders acknowledge that they have relied exclusively on their own investigation and determinations and the advice or their own professional advisors, and expressly represent that they have not relied upon any information provided by the Seller or Dudley Auctions in any way.
Earnest Money Deposit: If you are the successful bidder, you may be required to provide an additional deposit in the form of a cashier’s check, wire transfer or credit card, within 24 hours or as specified by Dudley Auctions at the conclusion of the auction event. The deposit is to be held by the Dudley Auctions or a designated escrow agent.
Extended Bidding Time: This auction event is scheduled to begin on the “Starting Date and Time” and tentatively end on the “Scheduled Ending Date and Time” that are listed on the Dudley Auctions website. If a bid is received during the last two (2) minutes before the Scheduled Ending Date and Time, an automatic extension feature in the online-bidding platform will extend the Scheduled Ending Date and Time and keep the auction event open for an additional two (2) minutes beyond the time that the last bid was received. This process will repeat every time a subsequent bid is received until the extension period has expired with no additional bids.
For example, if the extension period specified by the Dudley Auctions is 2 minutes, and the scheduled ending time is 4 PM but a bid is placed at 3:59 PM, the auction event would automatically extend by 2 minutes and the auction event would close at 4:01 PM if no additional bids are placed during the extension time.
Highest Bid Acceptance: All offers are subject to review and approval by the Seller. Dudley Auctions will inform the highest bidder once the highest bid has been considered. Dudley Auctions reserves the right to accept the highest or best offer in the event this is not the same offer.
Inspection: The property is being sold “where is,” “as is,” “with all faults,” with no representations or warranties except for the general warranty to be included in the deed to the real property. All property descriptions and due diligence documents are provided by Dudley Auctions as a service to customers and do not constitute a warranty, either expressed or implied. All bidders are responsible for the inspection of the property and by making a bid(s) on the property are deemed to have so inspected the property to their satisfaction. Placing a bid, whether in-person, by agent, through the online bidding platform, or any other means, constitutes an agreement by participant to these conditions of sale. Dudley Auctions assumes no liability for errors or omissions in this or any other property listing or advertising or promotional/publicity statements and materials.
Maximum Bid: Registered Bidders will have the ability to submit a maximum bid amount (often called a “Max Bid”) through the online bid platform and to direct that our website bid on such bidder’s behalf in scheduled increments until the maximum amount identified by the bidder has been reached. If a Max Bid in the same amount as was previously authorized by another bidder’s max bid, the other bidder’s max bid as previously entered will be deemed to be the prevailing bid at that amount. In the event that there should be any dispute among bidders with regard to the identity or amount of the high bid, Dudley Auctions reserves the right to reopen bidding and may, in conjunction with such reopening of the bidding, designate one of the bidders as the “High Bidder” at the sole discretion of Dudley Auctions. All decisions by Dudley Auctions shall be final.
Megan’s Law Disclosure: All interested bidders are solely responsible for conducting any investigation regarding registered sexual offenders prior to bidding and should exercise whatever due diligence they deem necessary with respect to information on registered sexual offenders who might live near a property being offered for sale. Such information may be obtained by contacting your local police department or the Department of State Police.
Registration: In order to register and place bids for this auction event, all interested bidders will be required to register on the Dudley Auctions website, www.dudleyauctions.com. All Bidders registering for this auction event must be at least eighteen (18) years of age and must be eligible to bid at the sole discretion of Dudley Auctions, based on any past experiences with the registered bidder or otherwise. Registered Bidders may also be subject to verification through credit card information in the registration process through a third party service to verify the credit card has the appropriate funds necessary to register for this auction event.
If a prospective Bidder has been approved to bid at the auction event, the approved Bidder will receive email notification that they have been approved to bid at the auction event. Bidding rights are not absolute, and all registrations, even if successfully verified by credit card as described above, are subject to manual verification at any time by Dudley Auctions. Dudley Auctions also reserves the right to suspend or terminate any Bidder’s registration this auction at any time.
Technical Problems: Dudley Auctions has made reasonable efforts to provide for online bidding for this auction event. All registered Bidders recognize and acknowledge, however, that technical problems with hardware, software, or internet connectivity, as well as human errors, may arise and may affect, without limitation, the Dudley Auctions website, the online bidding program and process, or internet service and access, and the registered Bidder’s connection to this auction event bidding program and process.
All registered Bidders further acknowledge that these and other technical problems may develop at any time with or without notice. All registered Bidders acknowledge and agree that neither Dudley Auctions nor the Seller are in any way responsible for any such technical problems, and that registered Bidders have no absolute or other right to be able to bid on this auction in the event of any such technical problems.
Notwithstanding the foregoing, all registered Bidders further acknowledge and agree that, in the event of any such technical problems, Dudley Auctions reserves the right to postpone or cancel the auction event and/or extend the bidding time for this auction event and/or schedule another auction event for the property, in the sole discretion of Dudley Auctions, and that any decision with regard to any such actions is and will be final.
Terms Specific to This Auction Event: As noted above, Dudley Auctions may provide Additional Terms and Conditions that are specific to this auction event or the property or properties being sold at this auction event. Such Additional Terms and Conditions may, but shall not necessarily be required to, relate to the following provisions, among others: extended bidding time; and bid increments.






















